Uragan Erin spada među oluje koje su najbrže ojačale u povijesti
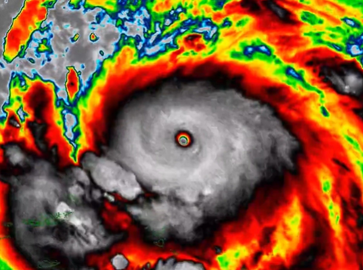
URAGAN Erin ponovno je ojačao na 4. kategoriju, s vjetrovima koji pušu 210 km/h i protežu se u krugu od 370 kilometara, izvijestio je u nedjelju navečer Nacionalni centar za uragane. Oluja se nalazila nešto manje od 1600 kilometara jugoistočno od Cape Hatterasa u Sjevernoj Karolini i nastavlja se kretati sjeverozapadno, piše CNN.
Iako se ne očekuje da će uragan izravno pogoditi kopno SAD-a, prognostičari upozoravaju da će snažne povratne struje predstavljati veliku opasnost, počevši od ponedjeljka na južnim plažama, a kasnije tijekom tjedna i na sjeveroistočnim obalnim područjima. Meteorolozi posebno ističu da će se opasnost od struja pojaviti i prije nego što visoki valovi postanu vidljivi, stoga se kupači pozivaju na krajnji oprez.
Upozorenja i evakuacije
Zbog ozbiljnosti situacije okrug Dare u Sjevernoj Karolini proglasio je lokalno izvanredno stanje i izdao obveznu naredbu za evakuaciju otoka Hatteras. "Obalne poplave i prelijevanje oceana očekuju se već u utorak, 19. kolovoza, i nastavit će se do četvrtka, 21. kolovoza. Dijelovi autoceste N.C. 12 na otoku Hatteras vjerojatno će biti neprohodni nekoliko dana", stoji u priopćenju.
Vanjski rubovi Erina već donose obilne kiše Portoriku, gdje se do ponedjeljka očekuje dodatnih 50 do 100 milimetara padalina, a do sada je 100.000 ljudi ostalo bez struje. Obilne kiše, do 150 milimetara, prognozirane su i za otočja Turks i Caicos te istočne Bahame, gdje su na snazi upozorenja na tropsku oluju, uz opasnost od bujičnih poplava i odrona.
Rekordno brzo jačanje
Erin je doživjela zapanjujuće brzu promjenu snage, fenomen koji postaje sve češći zbog zagrijavanja planeta. Oluja je u samo 24 sata prešla put od uragana 1. kategorije s vjetrovima od 120 km/h do rijetke 5. kategorije s vjetrovima od gotovo 260 km/h. Time se Erin upisala u povijest kao jedan od najbrže ojačanih atlantskih uragana ikad zabilježenih.
Ovaj fenomen događa se kada uragan ojača za najmanje 55 km/h u 24 sata. Takve promjene povijesno su se događale kasnije u sezoni, no zbog zagrijavanja oceana i atmosfere, sve su češće. Erin je postao i jedan od samo 43 uragana 5. kategorije zabilježen u Atlantiku, od kojih se čak 11 dogodilo od 2016. godine.
Neobično snažan za ovo doba godine
Formiranje uragana 5. kategorije ovako rano u sezoni vrlo je neobično, posebno izvan Meksičkog zaljeva. Iako je sredina kolovoza blizu vrhunca sezone, najjače oluje obično se javljaju kasnije. Temperature površine mora u regiji znatno su toplije od prosjeka, što uraganu osigurava obilje "goriva" za jačanje.
Erin je prvi veliki uragan ove atlantske sezone. Prije njega, četiri imenovana sustava – Andrea, Barry, Chantal i Dexter – nisu ojačala iznad razine tropske oluje. Dugoročne prognoze ukazuju na to da se u istom dijelu Atlantika mogu očekivati nove oluje barem do početka rujna, a prognostičari za ovu godinu predviđaju iznadprosječnu tropsku aktivnost.
bi Vas mogao zanimati
Izdvojeno
Pročitajte još
bi Vas mogao zanimati