Ogromni tajfun se približava Vijetnamu, planira se evakuacija 250.000 ljudi

VIJETNAM planira evakuirati više od 250.000 ljudi prije dolaska tajfuna Bualoi, za koji se očekuje da će pogoditi središnji dio zemlje, regiju u kojoj se proizvodi čelik.
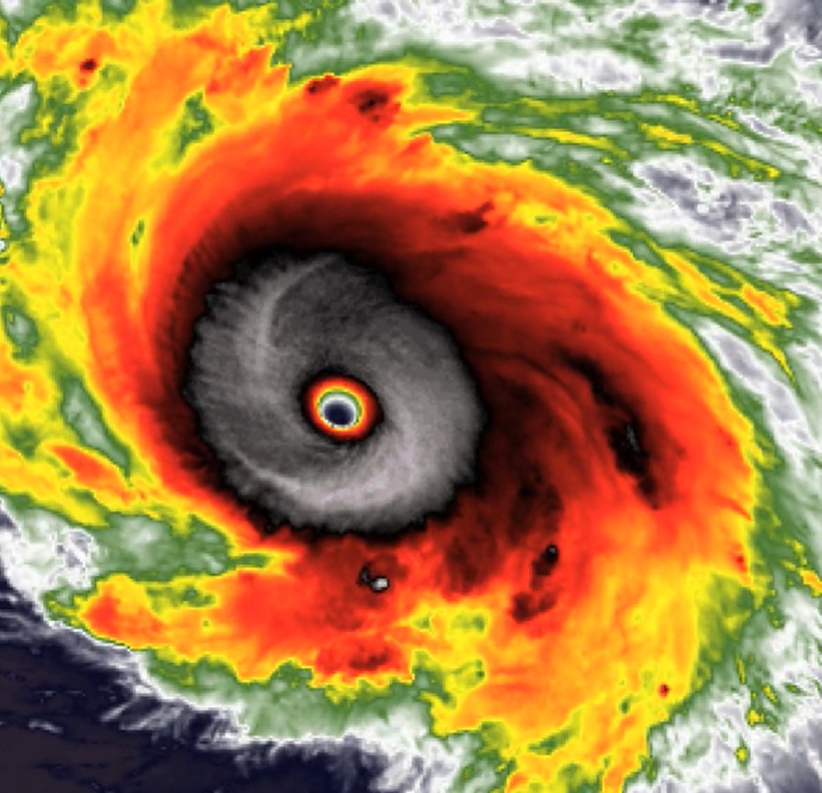
Oluja, deseta koja je ove godine pogodila Vijetnam, trenutno je na moru i generira vjetrove preko 130 km/h. Očekuje se da će stići do kopna u 19:00 sati po mjesnom vremenu, objavio je meteorološki zavod.
Državni mediji javljaju da Danang, najveći grad u središnjem Vijetnamu, planira evakuirati više od 210.000 ljudi. Iz obalnog grada Hue evakuirat će se oko 32.000 ljudi, a iz grada Ha Tinh 15.000 ljudi.
Prošle godine zemlju pogodio jak tajfun
U iščekivanju oluje mobilizirano je gotovo 117.000 vojnika. Četiri nacionalne zračne luke su zatvorene, a svi ribarski brodovi na putu tajfuna pozvani su u luku.
"Ovo je oluja koja se vrlo brzo kreće, vrlo visokog intenziteta koja utječe na široko područje, sposobna uzrokovati razne vrste prirodnih katastrofa poput jakih vjetrova, bujičnih kiša, poplava, klizišta i obalnih poplava", upozorio je Mai Van Khiem, predstojnik zavoda.
Prema podacima Ministarstva poljoprivrede, u Vijetnamu je u prvih sedam mjeseci 2025. godine zbog prirodnih katastrofa poginulo ili nestalo više od 100 ljudi. Ekonomski gubici procijenjeni su na 21 milijun dolara.
Vijetnam je prošlog rujna pretrpio gubitak od 3,3 milijarde dolara zbog tajfuna Yagi, koji je prohujao sjeverom zemlje i odnio stotine života.

bi Vas mogao zanimati
Izdvojeno
Pročitajte još
bi Vas mogao zanimati